uragano Eta
-
Notizie mondo
Florida, ALLIGATORE GIGANTE passeggia per i campi da golf durante la tempesta Eta [VIDEO]
La furia della tempesta Eta sulla Florida non ha scoraggiato questo enorme alligatore, che ha invece approfittato dell’assenza di persone…
Leggi tutto » -
Notizie mondo
FLORIDA, non dà tregua la TEMPESTA ETA: sta attraversando il nord dello stato
Dopo aver provocato giornate di maltempo estremo sui settori meridionali della Florida, poche ore fa la tempesta Eta ha fatto…
Leggi tutto » -
Notizie mondo
La TEMPESTA ETA avanza verso la FLORIDA, sale il bilancio delle VITTIME nel Centro America
L’ex urgano Eta continua la sua attività, ora come tempesta tropicale. Dopo 11 giorni di vita è ancora presente nel…
Leggi tutto » -
Notizie mondo
Uragano ETA sulla FLORIDA dopo la STRAGE in America Centrale: più di CENTO le vittime, e il bilancio è ancora provvisorio
Nelle ultime ore i resti dell’uragano Eta, che al momento è una potente tempesta tropicale, stanno raggiungendo la Florida facendo…
Leggi tutto » -
Notizie mondo
ETA, la tempesta ora minaccia CUBA e la FLORIDA
L’ex-uragano Eta, dopo aver seminato distruzione e morte nei Paesi del Centro America, oggi attraverserà Cuba. La tempesta transiterà sui…
Leggi tutto » -
Notizie mondo
L’URAGANO Eta ha fatto DECINE DI VITTIME. Gli aggiornamenti [FOTO e VIDEO ]
Sono immagini tragiche e dolorose quelle che arrivano dall’America Centrale, in ginocchio dopo l’impatto con l’uragano Eta. La sua furia…
Leggi tutto » -
News Meteo
L’ex uragano ETA fa inversione a U: ora punta CUBA e la FLORIDA
L’ex uragano Eta dopo aver colpito duramente il Nicaragua e il Centro America in generale tornerà a rinforzarsi nei prossimi…
Leggi tutto » -
Notizie mondo
Uragano ETA fa vittime e danni nel Centro America: atteso fino ad 1 METRO di pioggia
L’impatto dell’uragano Eta sul Nicaragua è stato devastante. L’occhio di Eta è arrivato sulla terraferma nella giornata di ieri, quando…
Leggi tutto » -
Notizie mondo
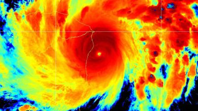
L’uragano ETA è un MOSTRO: l’impatto sarà CATASTROFICO
Ha stupito tutti l’esplosiva evoluzione dell’uragano Eta, diventato improvvisamente un uragano di categoria 4: nelle prossime ore Eta potrebbe raggiungere…
Leggi tutto » -
Notizie mondo
Uragano ETA sul mare dei CARAIBI: domani l’IMPATTO sulla terraferma
Sulle acque del Mare dei Caraibi si è formata nei giorni scorsi la 28ma tempesta della stagione 2020: l’uragano Eta.…
Leggi tutto »