grace
-
Notizie mondo
Uragano GRACE molto più potente del previsto: massima allerta in Messico
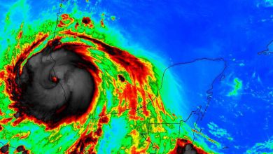
Grace è diventato un potente uragano di categoria 3 e si appresta a colpire per la seconda volta il Messico.…
Leggi tutto » -
Notizie mondo
URAGANO GRACE, oggi il secondo impatto sul Messico: la situazione
L’uragano Grace, che nella giornata di giovedì ha fatto il suo primo landfall sulla Penisola dello Yucatan, oggi raggiungerà per…
Leggi tutto » -
Notizie mondo
URAGANO GRACE, tra poco il primo impatto sul Messico: la situazione
Grace è ufficialmente diventato un uragano e ora sta per impattare sulla costa del Messico nella Penisola dello Yucatan. Dopo…
Leggi tutto » -
Primo piano
Allerta nei CARAIBI: GRACE sta per diventare un uragano
La tempesta Grace, che negli ultimi giorni ha portato piogge forti e venti intensi su Haiti e Repubblica Dominicana, già…
Leggi tutto »