Notizie mondo
-
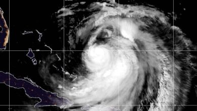
Tempesta invernale devasta il Sud-Est degli Stati Uniti
Una potente tempesta invernale ha colpito il Sud-Est degli USA con nevicate record, un ciclone bomba e temperature gelide fino…
Leggi tutto » -
Cascate del Niagara parzialmente ghiacciate incantano i turisti
Le cascate del Niagara parzialmente ghiacciate hanno attirato migliaia di visitatori il 31 gennaio nonostante il freddo polare. Turisti canadesi…
Leggi tutto » -
L’inverno rigido ghiaccia laghi e fiumi in Europa
Laghi ghiacciati in Europa affascinano con paesaggi innevati: dal Müritz in Germania al Balaton in Ungheria, passando per Weissensee in…
Leggi tutto » -
Tempesta invernale negli USA: ciclone bomba e gelo estremo paralizzano il Paese
Una devastante tempesta invernale colpisce gli Stati Uniti con blizzard e temperature artiche. Oltre 240 milioni di persone sotto allerta…
Leggi tutto » -
Inondazioni in Perù: piogge intense devastano Moyobamba e Chanchamayo
Inondazioni in Perù causate da forti piogge hanno sommerso case e strade a Moyobamba e Chanchamayo, con fiumi in piena…
Leggi tutto » -
Tempesta invernale negli USA: gelo e caos dal Midwest al Sud
Una devastante tempesta invernale negli Stati Uniti ha causato morti, blackout e migliaia di voli cancellati. Dal Midwest al Sud,…
Leggi tutto » -
Mozambico devastato dalle inondazioni: oltre 800mila persone colpite
Dal 9 gennaio 2026, gravi inondazioni hanno colpito il Mozambico meridionale e centrale, causando lo sfollamento di circa 400mila persone…
Leggi tutto » -
Inondazioni eccezionali nel nord del Marocco: dighe al limite della capacità
Il Marocco affronta inondazioni straordinarie in diverse regioni settentrionali, con fiumi in piena e bacini idrici saturi a causa di…
Leggi tutto » -
Piogge torrenziali in Zambia: alluvioni sommergono Lusaka e quartieri periferici
Piogge torrenziali in Zambia hanno causato gravi alluvioni a Lusaka, con strade e case sommerse dall’acqua. Nessuna vittima, ma scuole…
Leggi tutto » -
Incendi Australia: caldo record, città evacuate e koala in pericolo
L’Australia è di nuovo alle prese con incendi fuori controllo, alimentati da una delle ondate di calore più intense degli…
Leggi tutto »