Sam
-
Notizie mondo
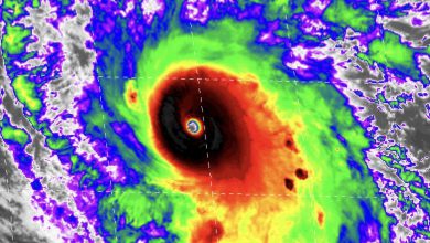
Piccolo ma molto intenso, l’URAGANO SAM è un mostro di categoria 4: traiettoria ed evoluzione prevista
L’uragano Sam, come previsto, si è intensificato fino a diventare un mostro di categoria 4. L’intensità degli uragani viene classificata…
Leggi tutto » -
Notizie mondo
L’intenso URAGANO SAM si impone sull’Atlantico: persisterà fino ad inizio ottobre
Il “piccolo” Sam è diventato un uragano di categoria 2, ma nelle prossime ore si intensificherà ulteriormente. Nel corso della…
Leggi tutto » -
Notizie mondo
Il piccolo URAGANO SAM preoccupa i Caraibi: l’intensità sta aumentando velocemente
Nel cuore dell’oceano Atlantico si è formata la tempesta Sam, la diciottesima della stagione, che nelle prossime ore dovrebbe intensificarsi…
Leggi tutto »