ciclone harold
-
Notizie mondo
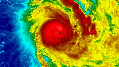
Il ciclone HAROLD ha ancora l’intensità di un URAGANO di categoria 3: gli aggiornamenti
Il Ciclone Harold continua a muoversi sulle acque dell’oceano Pacifico e, anche se ha iniziato a perdere intensità rispetto ai…
Leggi tutto » -
Video
Devastante il ciclone HAROLD su Vanuatu e Fiji – VIDEO
La furia distruttiva del ciclone Harold ha colpito prima le Vanuatu e poi le Fiji con effetti devastanti su molte…
Leggi tutto » -
Notizie mondo
Ciclone HAROLD sulle FIJI: è uno dei più intensi degli ultimi 40 anni
Il ciclone Harold, uno dei più intensi degli ultimi 40 anni nel sud Pacifico, dopo aver seminato distruzione alle Vanuatu,…
Leggi tutto » -
Notizie mondo
HAROLD rade al suolo le VANUATU e punta verso le FIJI
Il ciclone Harold ha duramente colpito le Vanuatu: l’impatto sull’arcipelago è stato devastante, tra venti a 250 km/h, piogge torrenziali…
Leggi tutto » -
Video
VIDEO – Ciclone Harold si abbatte con violenza su Vanuatu: Fiji nel mirino
Il ciclone Harold si è abbattuto sull’arcipelago delle Vanuatu con la forza di un uragano di categoria 5. Venti violentissimi,…
Leggi tutto » -
Notizie mondo
CICLONE HAROLD su Vanuatu, è ALLERTA ROSSA: gli aggiornamenti
Il ciclone Harold ha raggiunto l’arcipelago delle Vanuatu dopo essere diventato sempre più intenso nelle ultime ore: come si temeva,…
Leggi tutto » -
Notizie mondo
Ciclone HAROLD, l’impatto sulle Vanuatu con l’intensità di un uragano di categoria 4
L’arcipelago delle Vanuatu è in massima allerta per l’impatto del ciclone Harold che nelle ultime ore si è intensificato fino…
Leggi tutto » -
Notizie mondo
Massima allerta alle Vanuatu per il ciclone Harold
Il ciclone tropicale Harold nel suo tragitto verso Vanuatu sta diventando sempre più potente. Nelle ultime ora ha raggiunto l’intensità di…
Leggi tutto »