America Centrale
-
Notizie mondo
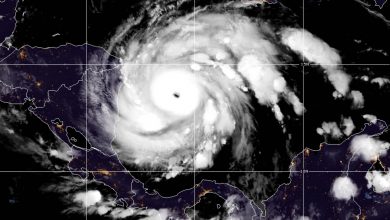
URAGANO IOTA, l’America Centrale si prepara all’impatto: le tempistiche
Iota si è rapidamente rafforzato, intensificandosi a uragano di categoria 4 mentre si avvicina sempre di più all’America Centrale. Secondo…
Leggi tutto »