News MeteoPrimo piano

Austrialia, il ciclone Narelle avanza con raffiche a 285 km/h

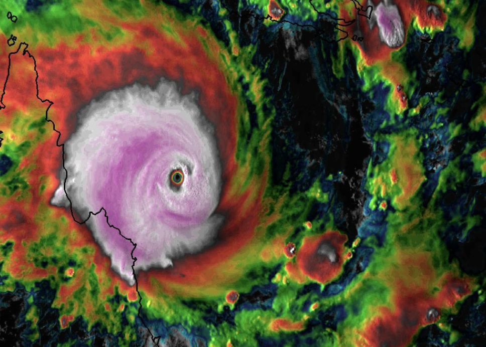
Il ciclone tropicale Narelle, intensificatosi a categoria 5, avanza verso la costa del Far North Queensland con venti fino a 285 km/h. Previsto landfall tra Lockhart River e Cape Melville, con piogge torrenziali e rischio inondazioni. Autorità attivano evacuazioni per minimizzare danni.

Il ciclone tropicale Narelle rappresenta una minaccia per l’Australia settentrionale. Situato al largo del Far North Queensland, a circa 350 km a nord-est di Cooktown nel Mar dei Coralli, il sistema ha raggiunto la categoria 5 grazie a temperature superficie marina 0,5-1,0 °C sopra la media, favorendo la rapida intensificazione[1][3][4].

Percorso e intensità del ciclone Narelle

Narelle avanza verso Cape York a 26 km/h, con venti sostenuti a 205 km/h e raffiche fino a 285 km/h. Si prevede landfall tra Lockhart River e Cape Melville nelle prossime ore, indebolendosi a categoria 4 ma restando pericoloso. La traiettoria include anche Coen, con possibile reintensificazione nel Golfo di Carpentaria[1][4][5].

Rischi di piogge e inondazioni in Queensland

Attese piogge torrenziali fino a 500 mm, mareggiate pericolose e alto rischio di inondazioni, danni a infrastrutture e abitazioni nel Queensland. Raffiche distruttive minacciano la penisola di Cape York[2][3][4].

Misure di emergenza per ciclone categoria 5

Le autorità hanno ordinato evacuazioni preventive, chiusura scuole, sospensione voli e attivazione rifugi e squadre di emergenza nelle comunità remote[1][3]. Il premier del Queensland invita a prepararsi immediatamente[1].

© Iconameteo.it - Il presente contenuto è riproducibile solo in parte, non integralmente, inserendo la citazione della fonte (Iconameteo.it) e il link al contenuto originale

Articoli correlati

Back to top button